Egypt Trip
Red Sea P.84
![]() |
![]() |
![]() |
![]() |
![]() |
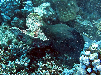
![]() After the coral fans we came across an eel. |
![]() All of a sudden he turned around and started thrashing around violently. You can see how he's breaking the coral. We didn't know what he was doing. |
![]() Then he comes out with this giant Stone Fish. |
![]() It wrapped it all up and tried to swallow it several times but it was too big. |
![]() He even put the fish down and snipped at us a little bit. |
![]() It was so amazing. The whole attack lasted for about 15 minutes. Rootie took a great video of part of it: Click for Small QuickTime or Windows Media Click for Medium QuickTime or Windows Media |
![]() Time to go. Lisa is sending up her SMB. |
|
e-mail us at kasuko@sager.org |